APPARTAMENTO A PIANO TERRA CON GARAGE E CORTILE
- € 109.000
-
5locali
-
1bagni
-
138 m2superficie
-
40856riferimento
-
Scandolara Ravaracomune
Descrizione
Piano terra in bifamiliare con cortile privato e garage – Ristrutturato, pronto da vivere
Se sogni una casa indipendente, comoda e curata nei dettagli, questa è la soluzione che stavi aspettando.
In contesto bifamiliare, proponiamo appartamento al piano terra, interamente e finemente ristrutturato nel 2003, ideale per chi desidera spazi funzionali, privacy e la comodità di non avere scale.
Composizione interna:
Ingresso accogliente
Ampio salone con cucina open space venduta completa di arredi
Comoda lavanderia
Due camere da letto
Bagno finestrato
Spazi esterni che fanno la differenza:
Cortile privato frontale, perfetto per relax o momenti conviviali
Porticato retrostante, ideale come zona pranzo estiva o area relax
Garage di proprietà
Punti di forza:
Piano terra
Nessuna spesa condominiale
Contesto bifamiliare
Ristrutturazione completa
Cucina inclusa nel prezzo
Soluzione pronta da abitare
Una casa calda, accogliente e ben distribuita, perfetta sia come prima abitazione sia come investimento.
Contattaci per una visita: dal vivo saprà conquistarti ancora di più.
Il presente testo ha il solo scopo illustrativo, può contenere errori e/o omissioni e non costituisce elemento contrattuale.
Dettagli Annuncio
Classe energetica
A+
A4
A3
A2
A1
A
B
C
D
E
F
G
Esente
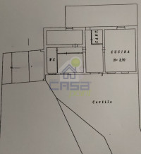
Planimetria
Mappa
Le nostre recensioni
Fonte: Google.comInformato per primo
- Cascine in vendita a Scandolara Ravara
- Case Indipendenti in vendita a Scandolara Ravara
- Appartamenti in vendita a Scandolara Ravara
- Immobili Commerciali in vendita a Scandolara Ravara
- Complessi Misti in vendita a Scandolara Ravara
- Porzione Di Case in vendita a Scandolara Ravara
- Magazzini in vendita a Scandolara Ravara
- Capannoni in vendita a Scandolara Ravara
"Straordinari 2025", alla Fondazione Giorgio Conti l'incasso della serata
06/11/2025Come preparare la tua casa per il servizio fotografico
13/10/2025
Ultimi annunci inseriti

Capannone
Scandolara Ravara

Casa Indipendente
Scandolara Ravara

Porzione Di Casa
Scandolara Ravara

Casa Indipendente
Scandolara Ravara

Magazzino
Scandolara Ravara

Immobile Commerciale
Scandolara Ravara
-medium.jpg)
Cascina
Scandolara Ravara

Appartamento
Scandolara Ravara
