PORZIONE DI CASCIALE DA RISTRUTTURARE
- € 19.000
-
8locali
-
1bagni
-
162 m2superficie
-
40380riferimento
-
Soresinacomune
Descrizione
IMMOBILE IDEALE PER IMPRESE COSTRUTTRICI.
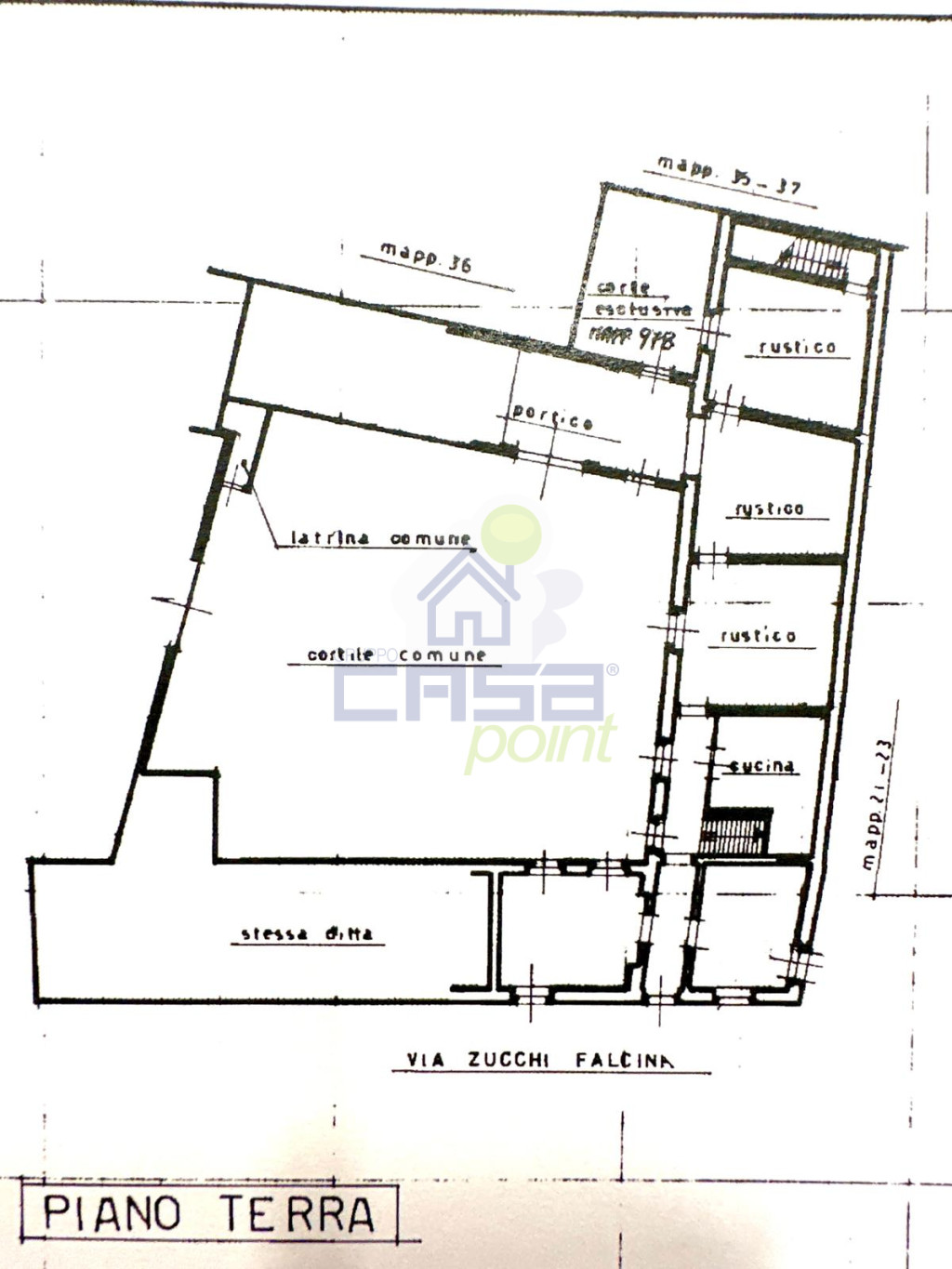
Nel cuore di Soresina, in via Zucchi Falcina, proponiamo una porzione di cascinale di fine Ottocento con corte interna comune, tipica dell’architettura rurale cremonese.
L’immobile, ormai segnato dal tempo, presenta coperture quasi interamente crollate e solai compromessi, ma conserva un fascino autentico e una volumetria di circa 160 m² recuperabile, ideale per un intervento di riqualificazione o ricostruzione nel rispetto del PGT comunale (ambito storico).
La posizione è strategica, nel cuore del paese ma con accesso riservato e tranquillo, perfetta per dare nuova vita a uno spazio oggi in disuso.
Un’occasione concreta per imprese edili o investitori che desiderano valorizzare un edificio storico con costo d’ingresso contenuto e ampio potenziale di sviluppo nel centro cittadino.
PER INFO E VISITE:
Casapoint Pizzighettone,
via Ungheria 10, 26026 Pizzighettone
tel: 0372 744282
email: pizzighettone@gruppocasapoint.it
Il presente testo ha il solo scopo illustrativo, può contenere errori e/o omissioni e non costituisce elemento contrattuale.
Dettagli Annuncio
Classe energetica
A+
A4
A3
A2
A1
A
B
C
D
E
F
G
Esente
Planimetria
Mappa
Informato per primo
- Appartamenti in vendita a Soresina
- Laboratori in vendita a Soresina
- Case Indipendenti in vendita a Soresina
- Case D'epoca in vendita a Soresina
- Ville Singole in vendita a Soresina
- Ville in vendita a Soresina
- Stabili in vendita a Soresina
- Ville A Schiera in vendita a Soresina
- Case Semindipendenti in vendita a Soresina
- Negozi in vendita a Soresina
- Uffici in vendita a Soresina
- Complessi Misti in vendita a Soresina
- Cascine in vendita a Soresina
"Straordinari 2025", alla Fondazione Giorgio Conti l'incasso della serata
06/11/2025Come preparare la tua casa per il servizio fotografico
13/10/2025
Ultimi annunci inseriti

Appartamento
Soresina

Casa D'epoca
Soresina

Appartamento
Soresina

Casa Indipendente
Soresina

Casa Semindipendente
Soresina

Casa Indipendente
Soresina

Casa Indipendente
Soresina

Villa Singola
Soresina
